
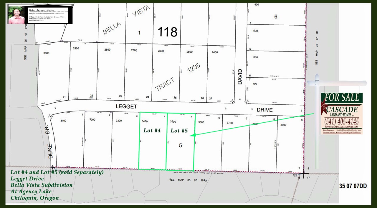
Blk # 5 Lot #5 Legget Dr. / Adjoining parcel for sale by same owner! Beautiful Views at Agency Lake!
attach_moneyPrice: $46,000
square_footSquare feet: 43,124
This property is located in the desirable Bella Vista Subdivision at Agency Lake! The parcels are larger in this subdivision, and there are many pine trees for privacy. The adjoining parcel is also being offered from the same owner, so make an offer on both, for a large property to build your new home!
There are paved roads to the subdivision along the Agency Lake shoreline, and there are well-maintained packed gravel roads from the subdivision entrance to the property. Power is to the street edge, and is all underground in this subdivision to enhance the views! This property would need to have a well and septic installed, but the neighbors reported to us that wells in the area are clear, cold, and around 150+ feet in depth. Be sure and check with the local jurisdictions on your building plans.
Agency Lake is just a short distance away for evening walks, or you could walk to the BLM managed Wood River Wetlands for wildlife and birdwatching. There are also well maintained walking trails, picnic tables, and places to launch a canoe or kayak onto the lake.
Fishing is very popular here! There are boat launching facilities about 1.5 miles away. The Sprague and Williamson Rivers flow through Chiloquin and are famous for excellent trout fishing! The Williamson River is especially popular for fly fishing, and the locals tell us they have caught trophy-sized trout!
If you love to golf, it's just a short 2 miles to the DMOLO Golf Facility at Agency Lake, or for a more advanced course, the Arnold Palmer Signature Designed golf course the Running Y Resort in Klamath Falls is just about 40 miles from here!
There is so much to do in Klamath County, with year-round recreational opportunities! Hwy-97 is about 5 miles to the east of Agency Lake, and is the main artery connecting the major cities of Central Oregon, including Bend, Redmond and Madras. If you are planning to commute to Klamath Falls, it is a gorgeous drive down Hwy 97 along the Klamath Lake.

The subdivisions at Agency Lake are centrally located to be able to easily take advantage of all that Klamath County has to offer!
This is an amazing property with so much opportunity!
***Please keep scrolling down for more photos and information!***
This is an interactive map, for a tutorial, please click on full screen.
Give our office a call for more information! (541) 405-4145
Click Here to see this property on Google Earth!
Click Here for current NOAA weather conditions in Chiloquin.
Click Here for traffic updates.
Click Here for Property Soils Report
Click Here for Klamath County Website.
Click Here for directions, just enter your starting point!
Click Here to find things to do in Klamath County!
Within the Bella Vista Subdivision, there are CC&Rs
GPS Coordinates: Lat 42.5447, Lon -121.9189
*This property is zoned R2 make sure and check with the governing jurisdictions on the viability of your plans.
DISTANCE FROM: Chiloquin TO: Agency Lake, OR 6 miles Bend, OR 111 miles Boise, ID. 390 miles California Border 45 miles Chiloquin, OR 0 miles Collier State Park, OR 8 miles Corvallis, OR 190 miles Crater Lake, OR 35 miles Crescent Lake, OR 70 miles Diamond Lake, OR 59 miles Eugene, OR 145 miles Grants Pass, OR 110 miles Klamath Falls, OR 27 miles Klamath Wildlife Refuge, OR 15 miles Kla-Mo-Ya casino, OR 4 miles Madras, OR 153 miles Medford, OR 85 miles Mt. Shasta, CA 107miles Newberry National Volcanic Monument 112 miles Oregon Coast at Coos Bay 220 miles Portland, OR 252 miles Prineville, OR 146 miles Redmond, OR 127 miles Salem, OR 209 miles San Francisco, CA 381 miles Sprague River, OR 25 miles Three trails OHV System, OR 62 miles Willamette Pass. OR 78 miles *Distances are approximate* Nearest Major Airport Locations: Crater Lake / Klamath Regional Airport 37 Miles Rogue Valley International-Medford Airport 84 Miles Roberts Field, Redmond, OR 127 miles Eugene Airport 157 Miles Nearest Local Airport locations Chiloquin State Airport 1 mile Butte Valley Airport 53 Miles Ashland Muni-Sumner Parker Airport 75 Miles Bend Municipal Airport 118 Miles * Contact Airports for rules, regulations, schedules, requirements and availability*